Patella & HD Auswertung von Hoshi und Suki

Patella & HD Auswertung von Hoshi und Suki

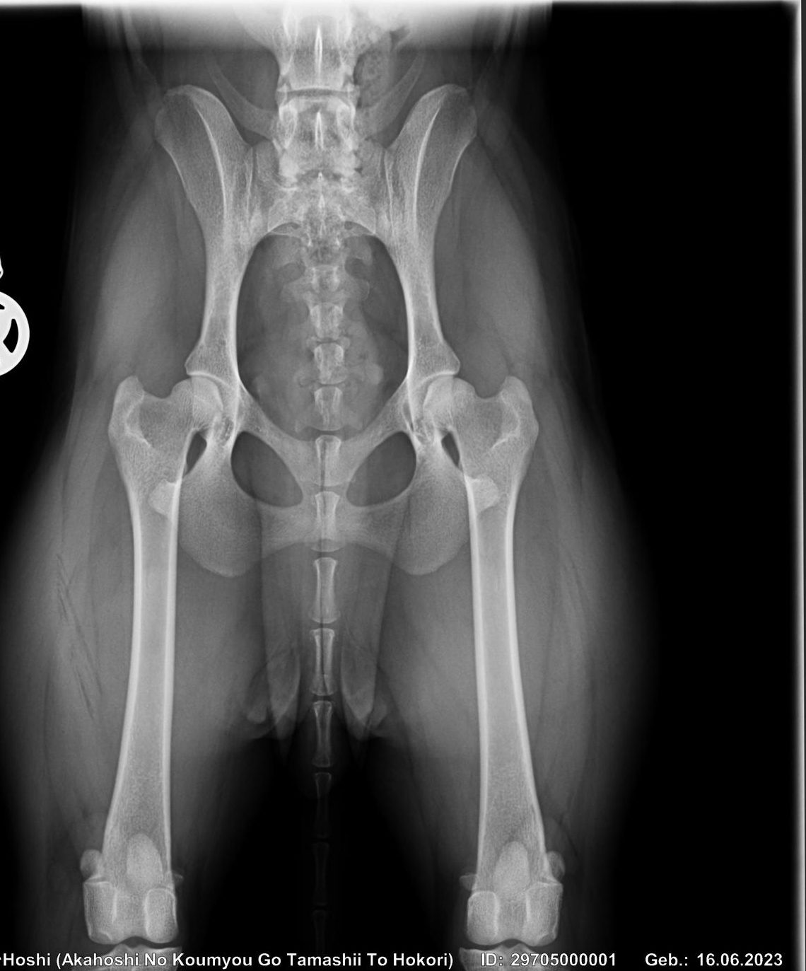
Wir freuen uns riesig über die neuesten Gesundheitsergebnisse unserer Nachzucht!

Akahoshi no Koumyo & Beniryuuhime no Suki sind beide Patella 0/0 (frei) ausgewertet worden!

Die HD Bilder liegen beim Gutachter und wir warten nun auf die offizielle Beurteilung!

Translate »